Phòng chống thiên tai

Dự báo Cảng Hàng không quốc tế Cát Bi và Vân Đồn sẽ chịu ảnh hưởng trực tiếp của cơn bão số 11
05/10/2025 - 10:41Cục Hàng không Việt Nam đang triển khai công điện về ứng phó bão số 11 (Matmo), trong đó đánh giá các Cảng Hàng không quốc tế Cát Bi và Vân Đồn sẽ chịu ảnh hưởng trực tiếp của cơn bão này.

Vệ tinh – “mắt thần” giúp phòng chống thiên tai
04/10/2025 - 13:23Trong kỷ nguyên biến đổi khí hậu, với ứng dụng khoa học kỹ thuật, vệ tinh có thể dự báo sớm, giảm thiểu thiệt hại và bảo vệ cuộc sống trước thiên tai.

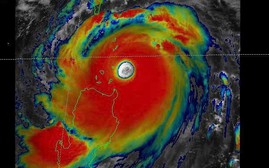
Cần nhận thức rõ tính chất hết sức nguy hiểm của cơn bão số 11
04/10/2025 - 13:00Các Bộ, ngành, địa phương và Nhân dân cần nhận thức rõ tính chất hết sức nguy hiểm cơn của bão số 11 khi thiên tai chồng thiên tai, nguy cơ tai biến chồng tai biến, đa thiên tai để có phương án, giải pháp ứng phó quyết liệt, chủ động, kịp thời, hiệu quả, phù hợp.

Hàng trăm người, phương tiện nỗ lực ứng cứu vỡ bờ sông Vinh
01/10/2025 - 10:56Đoạn đường bên bờ sông Vinh, phường Trường Vinh, tỉnh Nghệ An bị vỡ khoảng 5m, địa phương đã huy động hàng trăm người cùng phương tiện chở đất đá ứng cứu.

Trưa 1/10, đóng 1 cửa xả đáy hồ thủy điện Hòa Bình
01/10/2025 - 10:53Bộ trưởng Bộ Nông nghiệp và Môi trường vừa lệnh Giám đốc Công ty Thủy điện Hòa Bình: Đóng 1 cửa xả đáy hồ thủy điện Hòa Bình vào hồi 11 giờ 00 ngày 1/10/2025.

Mang "Vầng trăng yêu thương" tới trẻ em ở tâm lũ Nghệ An
27/09/2025 - 12:30Những người làm báo xứ Nghệ tổ chức đêm hội trăng rằm sớm ấm áp yêu thương cho các em học sinh vùng lũ xã Mỹ Lý, tỉnh Nghệ An.

Bộ Công an yêu cầu công an 22 tỉnh ứng phó với diễn biến siêu bão Ragasa
22/09/2025 - 22:16Bộ Công an vừa yêu cầu công an các đơn vị, địa phương chủ động ứng phó với diễn biến siêu bão Ragasa, trong đó, chủ động các biện pháp ứng phó ở mức cao nhất, lường trước kịch bản xấu nhất, không để bị động, bất ngờ trong mọi tình huống.

Dùng cần cẩu 100 tấn "giải cứu" cây đa trăm năm tuổi bị bão quật ngã tại Nghệ An
27/08/2025 - 10:38Chủ tịch Ủy ban nhân dân tỉnh Nghệ An vừa cùng đoàn công tác đến hiện trường kiểm tra, chỉ đạo các cấp nhanh chóng tìm phương án "giải cứu" cây đa cổ thụ có ý nghĩa đặc biệt với địa phương và sớm thông đường giao thông phục vụ người dân đi lại.

Bão đang đổ bộ vào Nghệ An, nước biển dâng cao ngập Cửa Lò
25/08/2025 - 20:34Cơn bão số 5 Kajiki đang đổ bộ vào 2 tỉnh Nghệ An và Hà Tĩnh, mưa gió vẫn đang tiếp tục quần thảo từ cuối giờ chiều cho đến nay. Đã có nhiều nhà cửa bị gió bật bay mái tôn, cây đổ đè gãy ô tô và nước biển dâng cao chưa từng thấy.

Câu lạc bộ nhà báo xứ Nghệ trao quà học sinh vùng lũ Nghệ An
22/08/2025 - 12:57Sáng 22/8, Câu lạc bộ nhà báo xứ Nghệ tại thành phố Hồ Chí Minh phối hợp với Hội Khuyến học tỉnh Nghệ An tổ chức trao quà đến các em học sinh, nhà trường chịu thiệt hại trong vùng lũ lịch sử vừa qua.

Đoàn công tác Giải thưởng Nhân tài Đất Việt 2025 khảo sát công trình cảnh báo lũ tại Bắc Ninh
19/08/2025 - 18:10Ngày 19/8, tại Bắc Ninh, đoàn công tác Giải thưởng Nhân tài Đất Việt 2025 – giải “Khuyến học – Tự học thành tài” đã khảo sát công trình “Cột cảnh báo nước lũ, nước dâng bằng tín hiệu pháo hiệu” của tác giả Nguyễn Đức Thành.

Sơn La công bố tình huống khẩn cấp về thiên tai - trực 24/24 trong ngày mưa, lũ cao điểm
02/08/2025 - 00:05Trước diễn biến phức tạp của thiên tai, Ủy ban nhân dân tỉnh Sơn La vừa công bố tình huống khẩn cấp về thiên tai để ứng phó với mưa lớn, lũ quét, sạt lở và sụt lún đất tại 14 xã trọng điểm.

Sản phụ lội suối vượt tâm lũ Nghệ An được bác sĩ đỡ đẻ ngay bên đường
29/07/2025 - 17:24Trên đường ra bệnh viện trung tâm chờ sinh, sản phụ có dấu hiệu chuyển dạ được các bác sĩ đỡ đẻ ngay bên đường ở trung tâm vùng lũ Nghệ An.

Ngành y tế Nghệ An kịp thời hỗ trợ bà con vùng tâm lũ
28/07/2025 - 13:22Hướng về bà con vùng tâm lũ, ngành y tế Nghệ An đã tổ chức chuyến đi khảo sát, kịp thời hỗ trợ các Trạm Y tế Mỹ Lý (Kỳ Sơn cũ), Châu Khê, Bồng Khê (xã Con Cuông), 2 Trung tâm Y tế Tương Dương và Kỳ Sơn khắc phục hậu quả sau bão lũ.

Chủ tịch xã lội bùn cõng mì tôm suốt 5 giờ đến bản làng có nhiều nhà bị lũ "xoá sổ"
26/07/2025 - 14:32Bản Phá Mựt là nơi vừa bị trận lũ quét qua, san phẳng khiến nhiều nhà dân vùi lấp dưới bãi đá cuội. Chủ tịch xã Nhôn Mai (tỉnh Nghệ An) cùng đoàn công tác đã phải đi bộ hơn 5 giờ đồng hồ băng rừng, lội suối mang những thùng mì tôm, lương khô đầu tiên giúp dân.

Người dân Nghệ An thất thần trước đống bùn lầy sau lũ dữ
25/07/2025 - 14:51Nước lũ tại Nghệ An đã rút, lộ thiên từng lớp bùn đặc, nhão khắp mọi nơi, từ nhà cửa, công sở, bản làng... miền Tây Nghệ An. Trong nỗ lực khắc phục hậu quả của cơn lũ kinh hoàng vừa quét qua, nhiều người dân thất thần trước đống hoang tàn sau lũ dữ.

Ngành giáo dục Nghệ An phát động ủng hộ khắc phục hậu quả bão số 3
25/07/2025 - 12:38Bão số 3 đã làm ảnh hưởng nghiêm trọng đến nhiều ngôi trường, nhà ở giáo viên ở các xã miền Tây Nghệ An, Sở Giáo dục và Đào tạo Nghệ An tổ chức phát động "Ủng hộ khắc phục hậu quả lũ lụt do bão số 3 gây ra".

Ứng phó bão số 3: Quảng Ninh di dời an toàn hơn 7.500 người ở các khu nuôi trồng thủy sản
21/07/2025 - 15:26Ứng phó với bão số 3, hiện tỉnh Quảng Ninh đã di dời hơn 7.500 người ở các khu nuôi trồng thủy sản lên bờ an toàn.

Những kỹ năng người dân cần lưu ý khi ứng phó với bão số 3 và mưa lũ sau bão
21/07/2025 - 08:44Để bảo đảm an toàn tính mạng và tài sản trước bão và mưa lũ sau bão, Cục Quản lý đê điều và Phòng, chống thiên tai (Bộ Nông nghiệp và Môi trường) đề nghị người dân lưu ý không nên chủ quan, tuân thủ theo các khuyến cáo sau.

Bộ Giáo dục và Đào tạo thăm hỏi các nạn nhân vụ lật tàu tại Quảng Ninh
20/07/2025 - 17:32Lãnh đạo Bộ Giáo dục và Đào tạo gửi lời chia buồn, thăm hỏi và động viên tới các gia đình có người bị thương vong, đặc biệt là các học sinh và trẻ nhỏ trong vụ lật tàu tại Quảng Ninh.

6 phường, xã khu vực Sa Pa ký kết quy chế phối hợp phát triển du lịch và phòng chống thiên tai, cháy rừng
13/07/2025 - 12:23Ngày 12/7, phường Sa Pa (Lào Cai) và 5 xã (thuộc thị xã Sa Pa cũ), bao gồm: Tả Phìn, Tả Van, Bản Hồ, Mường Bo và Ngũ Chỉ Sơn đã ký kết quy chế phối hợp nhằm thúc đẩy phát triển kinh tế - xã hội, bảo đảm an ninh trật tự ở các địa phương và Khu du lịch quốc gia Sa Pa.

Thái Nguyên nhiều tuyến phố bị ngập sâu
23/06/2025 - 06:43Với tinh thần chủ động, nắm chắc tình hình, thực hiện phương châm “4 tại chỗ”, tỉnh Thái Nguyên đã bảo đảm an toàn tính mạng người dân.

Chủ động ứng phó thiên tai trong thời gian tổ chức kỳ thi tốt nghiệp trung học phổ thông 2025
22/06/2025 - 16:37Ngày 21/6, Bộ trưởng Bộ Giáo dục và Đào tạo đã ban hành công điện về việc chủ động ứng phó thiên tai trong thời gian tổ chức kỳ thi tốt nghiệp trung học phổ thông năm 2025.

Bão số 1 ảnh hưởng bất thường, cực đoan, hiếm gặp trong lịch sử
17/06/2025 - 15:45Theo Trung tâm Dự báo khí tượng thủy văn Quốc gia, ảnh hưởng của đợt bão số 1 (WUTIP) có tính chất đặc biệt, bất thường và cực đoan, hiếm gặp trong lịch sử khí tượng thủy văn khu vực miền Trung.

Đề phòng lũ quét, sạt lở đất tại một số tỉnh phía Bắc
05/06/2025 - 10:50Theo dự báo thời tiết của Trung tâm Khí tượng thủy văn Quốc gia, ngày 5/6, các tỉnh Lai Châu, Điện Biên và Tuyên Quang tiếp tục có mưa với lượng mưa lơn, nguy cơ xảy ra lũ quét, sạt lở đất.

Thủ tướng yêu cầu hoàn thiện phương án ứng phó với thiên tai phù hợp với vận hành của chính quyền địa phương 2 cấp
28/05/2025 - 22:38Thủ tướng yêu cầu: không để bị động, bất ngờ, không để gián đoạn trong công tác ứng phó với thiên tai khi sắp xếp, hoàn thiện tổ chức bộ máy của hệ thống chính trị và sắp xếp lại đơn vị hành chính, tổ chức chính quyền địa phương 2 cấp.

Mít tinh hưởng ứng Tuần lễ quốc gia phòng, chống thiên tai 2025 tại Lào Cai
17/05/2025 - 15:28Ngày 17/5, tại Trường phổ thông dân tộc nội trú Trung học cơ sở và Trung học phổ thông Bảo Thắng diễn ra mít tinh hưởng ứng Tuần lễ quốc gia phòng chống thiên tai năm 2025, với chủ đề “Cộng đồng bền vững - Thích ứng thiên tai”.

Thi Rung chuông vàng “Cùng em phòng chống thiên tai - Kiến tạo tương lai bền vững” tại Lào Cai
13/05/2025 - 18:42Ngày 13/5, tại Lào Cai, Cục Quản lý đê điều và Phòng, chống thiên tai phối hợp với Sở Nông Nghiệp và Môi trường tỉnh Lào Cai, Sở Giáo dục và Đào tạo tỉnh Lào Cai và Công ty cổ phần Acecook Việt Nam tổ chức cuộc thi Rung chuông vàng “Cùng em phòng chống thiên tai - Kiến tạo tương lai bền vững”.

Mưa lớn kèm gió lốc làm hư hại 20 nhà dân ở Lào Cai
10/05/2025 - 15:32Sáng ngày 10/5, Ban chỉ huy phòng chống thiên tai và tìm kiếm cứu nạn huyện Bảo Yên (Lào Cai) cho biết, mưa to, gió lốc lớn đã làm hư hại 20 nhà ở và hoa màu của người dân ở địa phương này.

Thông tin mới về vụ cháy rừng lớn nhất Nhật Bản trong 30 năm qua
02/03/2025 - 15:53Chính quyền Nhật Bản vẫn tiếp tục khắc phục hậu quả của vụ cháy rừng lớn nhất kể từ năm 1992. Ước tính ban đầu, đám cháy tàn phá hơn 1.800 ha rừng ở Ofunato, khiến 3.000 người ở miền bắc nước này phải sơ tán.